1722 BAYOU GRANDE BOULEVARD NEST PETERSBURG, FL 33703




Mortgage Calculator
Monthly Payment (Est.)
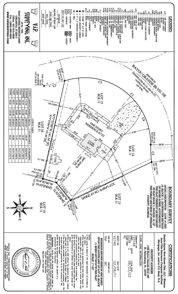
$1,825Nearly 1/2 acre (0.42) oversided double lot opportunity in the highly desirable Shore Acres neighborhood of St. Petersburg. This property offers an exceptional redevelopment opportunity for builders, investors, or those looking to build new in a premier coastal neighborhood. The property spans two original lots, and it is believed that the lot can be subdivided. The existing home experienced flooding during Hurricane Helene and has been professionally remediated but not renovated. The highest and best use is likely redevelopment of the property. Positioned directly across the street from waterfront homes, future construction may capture water views from upper levels. This location is surrounded by new construction and redevelopment, making it an ideal project for a builder looking to take advantage of strong demand for new homes in Shore Acres. Conveniently located near Shore Acres Mini Park, the neighborhood fire station, and just minutes to downtown St. Petersburg, waterfront parks, restaurants, and shopping. Owner may consider seller financing. Opportunities to acquire a double lot in this location are rare. Buyer to verify subdivision requirements, zoning, and building plans with the City of St. Petersburg.
| 6 days ago | Listing updated with changes from the MLS® | |
| 6 days ago | Status changed to Pending | |
| 3 weeks ago | Price changed to $399,900 | |
| 2 months ago | Listing first seen on site |
Listing information is provided by Participants of the Stellar MLS. IDX information is provided exclusively for personal, non-commercial use, and may not be used for any purpose other than to identify prospective properties consumers may be interested in purchasing. Information is deemed reliable but not guaranteed. Properties displayed may be listed or sold by various participants in the MLS Copyright 2026, Stellar MLS.
Last checked: 2026-04-25 01:25 PM EDT
Did you know? You can invite friends and family to your search. They can join your search, rate and discuss listings with you.